Questo sito utilizza cookie, anche di terze parti, per inviarti pubblicità in linea con le tue preferenze ed ottenere statistiche sull'utilizzo del Sito. ACCETTO LEGGI

/ vendita / terreni edificabili / Marsciano / san biagio della valle /

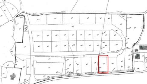
TERRENO EDIFICABILE VENDITA MARSCIANO SAN BIAGIO DELLA VALLE

TERRENO EDIFICABILE

Marsciano (PG) - San Biagio Della Valle

CHIAMA PER IL PREZZO 900m2

VUOI SAPERE CHE MUTUO RICHIEDERE? POSSIAMO FINANZIARE FINO AL 95% DEL PREZZO DI ACQUISTO!

SCOPRILO SUBITO

DESCRIZIONE

San Biagio Della Valle, comune di Marsciano, (Pg) l\'Immobiliare trebbi è lieta di proporvi la possibilità di acquistare un lotto di terreno edificabile posto in giacitura di dolce collina già urbanizzato.\n\nil lotto è molto panoramico con vista aperta su Perugia e su Assisi. \n\nPer valutare al meglio questa proposta commerciale e tutte le nostre altre soluzioni, sulla base delle vostre specifiche esigenze, Vi consigliamo di fissare un appuntamento chiamando il numero 075 5005034 o direttamente il 335 5650247

CARATTERISTICHE

RIFERIMENTO e DATA ANNUNCIO

V000046 - 10/01/2024

CONTRATTO

Vendita

TIPOLOGIA

Terreno edificabile

SUPERFICIE

900 m2

Trova il tuo
IMMOBILE IDEALE

Cerco Dove A

Approfondisci ricerca

Prezzo da - a

Mq da - a

ALTRE PROPOSTE DELL'AGENZIA IMMOBILIARE: IMMOBILIARE TREBBI

ALTRE PROPOSTE PER TERRENO EDIFICABILE NEL COMUNE DI MARSCIANO

Ricerche più frequenti nel comune di Perugia

Altre ricerche nella provincia di Perugia

Ricerche più frequenti nel comune di Terni

Altre ricerche nella provincia di Terni